Portland vet saves Kevin, curious cat who ate sewing needle, impaled nasal cavity
PORTLAND, Ore. — A Portland cat named Kevin let his curiosity get the better of him when he ate a sewing needle, which then impaled into his nasal cavity - but luckily, a vet team was able to save the day!
DoveLewis says that Kevin is known for his curious nature, and he recently snuck into a child's room where a sewing project was laid out.
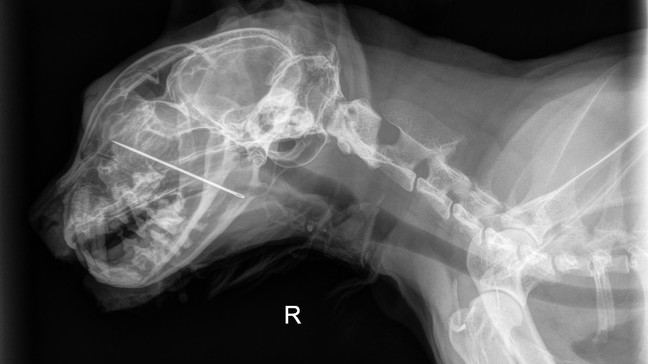
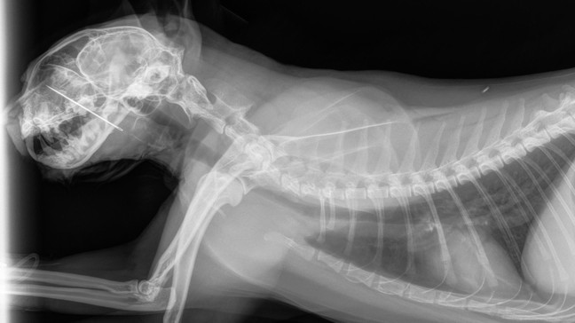
Kevin decided to try a little taste of the sewing needle.... which became lodged in his mouth, impaling through his hard palate and into his nasal cavity.
{sd-embed class="sd-embedded-media" data-alt="cat" data-caption="Kevin%20via%7B%7DDoveLewis" data-duration="19.584" data-externalid="fb7a3c864f7648dfaab7b03e8d690ddb" data-mediatype="video" data-renditions="" data-thumburl="/resources/media/a7a7d031-8fcc-4e34-9421-f34f17e53d1b-thumb_11480.png" data-title="Portland%20vet%20saves%20Kevin,%20curious%20cat%20who%20ate%20sewing%20needle,%20impaled%20nasal%20cavity%20" data-url="https://sinclair-vod-assets.sinclairstoryline.com/fb7a3c864f7648dfaab7b03e8d690ddb/hls/index.m3u8" data-defaultthumb="true" data-embed-file="%3Cdiv%20class=%22sda-VideoEmbed%22%3E%0A%20%20%20%20%20%20%20%20%20%20%20%20%3Cdiv%20class=%22sda-video-media-no-thumb%22%3E%0A%20%20%20%20%20%20%20%20%20%20%20%20%3Ciframe%0A%20%20%20%20%20%20%20%20%20%20%20%20%20%20%20%20width=%22560%22%0A%20%20%20%20%20%20%20%20%20%20%20%20%20%20%20%20height=%22315%22%0A%20%20%20%20%20%20%20%20%20%20%20%20%20%20%20%20class=%22sda-embeded-player-iframe%20sda-VideoEmbed-iframe%22%0A%20%20%20%20%20%20%20%20%20%20%20%20%20%20%20%20src=%22/resources/embeds/vod.html?externalId=fb7a3c864f7648dfaab7b03e8d690ddb&thumbUrl=%252Fresources%252Fmedia%252Fa7a7d031-8fcc-4e34-9421-f34f17e53d1b-thumb_11480.png%22%0A%20%20%20%20%20%20%20%20%20%20%20%20%20%20%20%20frameborder=%22no%22%3E%0A%20%20%20%20%20%20%20%20%20%20%20%20%3C/iframe%3E%0A%20%20%20%20%20%20%20%20%20%20%20%20%3Cdiv%20class=%22sda-VideoEmbed-caption-no-thumb%22%3E%0A%20%20%20%20%20%20%20%20%20%20%20%20%20%20%20%20%20%20%20%20%3Cspan%3ECaption:%20Kevin%20viaDoveLewis%3C/span%3E%0A%20%20%20%20%20%20%20%20%20%20%20%20%20%20%20%20%3C/div%3E%0A%20%20%20%20%20%20%20%20%3C/div%3E%0A%20%20%20%20%20%20%20%20%20%20%20%20%0A%20%20%20%20%20%20%20%20%3C/div%3E" data-embed-type="video" contenteditable="false"}{/sd-embed}
This injury caused immense discomfort and danger, resulting in vomiting and difficulty swallowing.
Kevin's family was unaware of the needle due to its positioning and brought him to a local urgent care vet as his condition declined. The clinic referred Kevin to DoveLewis for further examination and potential surgery.
At DoveLewis, it was decided that Kevin needed a sedated oral exam to find the cause of the problem. That’s when the team discovered the sewing needle embedded in Kevin’s mouth, with the blunt end pressing against the base of his tongue.
Thankfully, the team was able to quickly and gently remove the needle, ensuring minimal risk of further injury.
Remarkably, the needle was extracted whole, without breaking or causing additional harm.
"This case highlights the importance of immediate and expert veterinary intervention," said DoveLewis Critical Care Specialist Dr. Hannah Marshall in a press release. "We’re so glad Kevin’s family trusted us with his care, and we’re thrilled to see how quickly he recovered."
Kevin's family reports that he has made a full recovery and is back to his curious antics.



